









Nearby Schools
Butterfield CanyonElementary School
HerrimanHigh School
Description
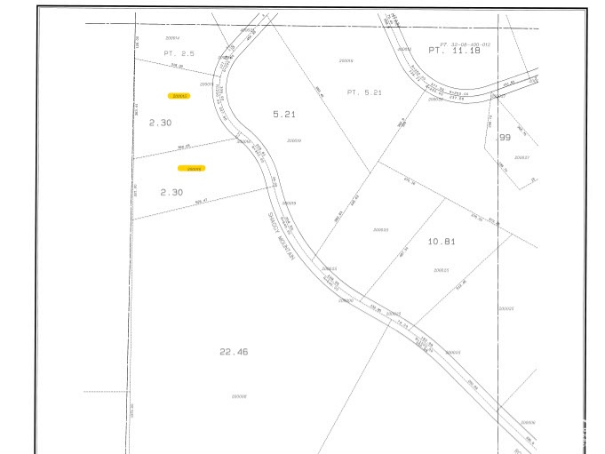
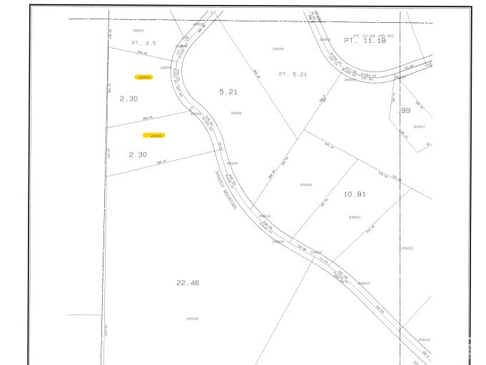
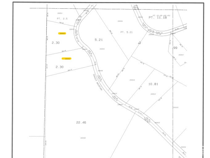
Looking to build close to town but not in town... here you go! Easy access with Horse, Biking, and Hiking trails nearby. Public fishing ponds just down the road in The Cove. Electric in the road. Water in the road and connections available but limited through HOA lottery. No Gas available so propane is the option. No Sewer so Septic is the option, Seller had PERC TEST done in 2020 and it passed. (2) Parcels included in sale #32-17-200-015 (2.3 acres) and #32-17-200-016 (2.3 acres) Total of 4.6 acres. This is in the Hi-Country Estate II area. Parcels start at Shaggy Mountain Rd and head West. BLM land boarders West property line of these two parcels. Seller Financing is available as an option. Description of property including Plot maps in photos are provided as a courtesy only. Buyer is advised to independently verify all information.
Location
Listed By
Listing Agent
Paul Bart Bennion
Realtypath LLC (South Valley)
Similar Listings
No similar listings found
Unfortunately, we don't have any similar listings at the moment. Please remove or change some of the selected filters.
Listing information provided courtesy of UtahRealEstate.com. IDX information is provided exclusively for consumers' personal, non-commercial use, and it may not be used for any purpose other than to identify prospective properties consumers may be interested in purchasing. The data is deemed reliable but is not guaranteed accurate by the MLS. Updated: 17th April, 2026 11:39 PM (UTC)
Listing Office: Realtypath LLC (South Valley)


























